Weltpremiere SY STORMVOGEL in VANUATU
WeiterlesenSchlagwort: Vanuatu
Kurzweilige Reiseberichte mit vielen Fotos aus VANUATU. Zu Land und/oder zu Wasser.
VANUATU und so…
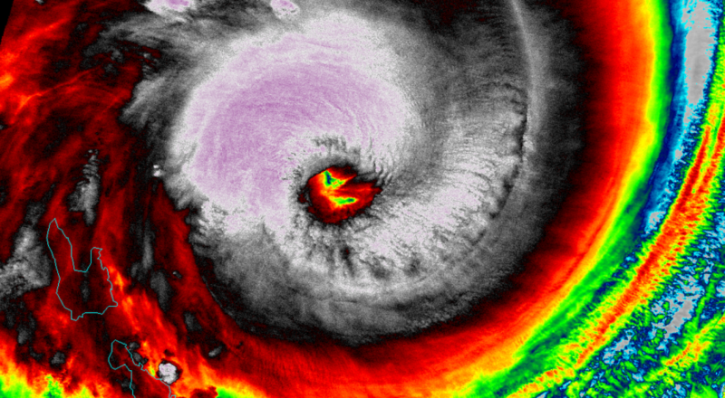
Nein, wir sind nicht zurück in VANUATU… …oder doch… Ja, wir sind in Gedanken bei diesen netten, lachenden Menschen die gerade tief, tief in der Scheiße sitzen. Die Bilder in den Nachrichten kommen uns sehr bekannt vor. Wir hoffen sehr, das die Menschen rechtzeitig in die Berge geflohen sind und nicht übelst in den Ozean gespült wurden! Das ist schon […]
WeiterlesenVideopremiere: VANUATU
Weihnachten, die Zeit der Wiedekammschen-Video´s…könnte man bei der „Flut“ von neuen Videos wohl meinen. (Daher auch das nicht zum Thema passende Titelbild!) Der Grund für diese Häufigkeit liegt eher in der familiären Nähe von Roh-Material-Hersteller, Sponsor, Video-Producer und Komponist-Anwärter, die sich alljährlich zu Weihnachten in unserer Familie automatisch ergibt. Nun denn, diesmal keine aufwendig animierte Foto-Show, sondern ein sehr schöner […]
WeiterlesenNachtrag: Bilder STORMVOGEL MAYDAY
Hier nun noch die Bilder der Rettungsaktion auf See. Bilder aus der Sonntagnacht (22/06/2014) haben wir nicht -unser erster Gedanke war nicht, das ganze im Bild fest zu halten sondern das Leck zu finden und das Wasser aus dem Boot zu bringen… …aber wir haben Bilder vom darauf folgenden Montag, als uns das Containerschiff KWEILIN den Zement gebracht hat. Dem […]
WeiterlesenPORT VILA – FIREDANCE
Das hier wird so ein Beitrag ohne viele Worte, dafür mit vielen Bildern, denn die sagen viel mehr aus! Gestern Abend per Kleinbus mit ODA und SOUTERN STAR in eine Beachbar gezuckelt, die ca. 25 Minuten außerhalb von PORT VILA liegt. Neben astreiner Pizza aus dem Holzofen gibt es da noch eine echt heiße Feuer-Show am Strand, every Friday night! […]
Weiterlesen

Kommentare